Super Typhoon Fung-wong Roars Toward the Philippines
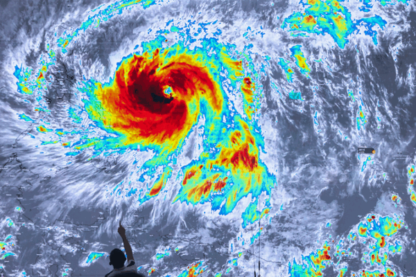
Super Typhoon Fung-wong, packing winds up to 230 kph, closes in on the Philippines, threatening late-night landfall after another storm battered the country.
Stay informed, stay connected—news for amigos everywhere.
Super Typhoon Fung-wong, packing winds up to 230 kph, closes in on the Philippines, threatening late-night landfall after another storm battered the country.
The Philippines halts Kalmaegi rescue as Super Typhoon Fung-wong nears, with heavy rain and winds threatening to flood major regions.